09/02/2026

Lagarta-do-cartucho no milho: como identificar, monitorar e controlar

 
Something went wrong. Please try again later...
Lagarta-do-cartucho no milho: como identificar, monitorar e controlar

Destaques

  • A lagarta-do-cartucho é uma das principais pragas da cultura do milho, com potencial de causar perdas superiores a 50% da produtividade quando não manejada adequadamente.
  • O ciclo biológico e as fases de desenvolvimento da praga são fortemente influenciados pelas condições ambientais, especialmente pela temperatura.
  • Os danos podem ocorrer ao longo de todo o ciclo do milho, atingindo plântulas, folhas, espigas, colmo e pendão.
  • O período crítico concentra-se na fase inicial de estabelecimento da cultura, exigindo maior atenção ao monitoramento.
  • Lagartas até o 3º ínstar provocam danos menos severos, geralmente na forma de raspagens foliares, e apresentam maior facilidade de controle.
  • A associação de diferentes estratégias de manejo é fundamental, com destaque para o uso de tratamentos de sementes específicos.
  • O monitoramento contínuo e, quando necessárias, aplicações complementares com inseticidas específicos são essenciais para o manejo eficiente da praga.

Lagarta-do-cartucho (Spodoptera frugiperda)

A lagarta-do-cartucho do milho é considerada a principal praga da cultura do milho em nível mundial. Trata-se de um inseto polífago, capaz de se alimentar de diversas culturas. No milho, a fase larval pode consumir praticamente qualquer parte da planta ao longo de todos os estádios de desenvolvimento; entretanto, há preferência pela fase vegetativa e pelas folhas novas do cartucho, que apresentam tecido foliar mais tenro - característica que dá origem ao seu nome comum.

Os danos à cultura do milho são expressivos, com perdas que podem ultrapassar facilmente 50%, dependendo da pressão populacional da praga e do nível de dano causado às plantas.

A fase inicial de estabelecimento da lavoura, compreendida entre V1 e V10, é considerada o período crítico, pois os danos podem afetar a população de plantas, a formação do dossel e a definição do potencial produtivo. Também podem ser observados danos na espiga, geralmente com perfuração na base ou na porção mediana, criando portas de entrada para patógenos, favorecendo a ocorrência de podridões de grãos e a contaminação por micotoxinas.

O ciclo biológico da lagarta-do-cartucho normalmente se completa em cerca de 25 dias, permitindo o desenvolvimento de várias gerações ao longo do ano. Esse período é fortemente influenciado pelas condições ambientais, especialmente pela temperatura e pela disponibilidade de alimento.

Imagem 1 - Lagarta-do-cartucho (Spodoptera frugiperda) | Foto: José Madalóz.

Identificação da lagarta-do-cartucho

A lagarta-do-cartucho do milho pode ser diferenciada de outras lagartas comumente encontradas na cultura por meio de duas características morfológicas principais:

  1. presença de um “Y” invertido bem definido na região frontal da cápsula cefálica (cabeça);
  2. presença de pontos escuros (tubérculos) na superfície dorsal, dispostos em formato de “quadrado” ou “trapezoide”, especialmente evidentes no último segmento abdominal.

Essas características são amplamente utilizadas no diagnóstico em campo e auxiliam na correta identificação da praga.

Imagem 2 - Espécies similares de lagartas comumente encontradas no milho (da esquerda para a direita): Pseudaletia unipuncta, Spodoptera frugiperda e Helicoverpa zea. A lagarta-do-cartucho (ao meio) tem um Y invertido bem definido na parte frontal da cabeça | Foto: Marlin E. Rice.

 

Imagem 3 - Detalhe dos pontos escuros (tubérculos) na superfície dorsal da lagarta-do-cartucho, dispostos em formato de trapezoide ou quadrado no último segmento abdominal | Foto: José Madalóz.

 

Imagem 4 - Detalhe da região frontal da cabeça da lagarta-do-cartucho, evidenciando o “Y” invertido bem definido, característica importante para a identificação da praga | Foto: Marlin E. Rice.

Influência do clima na biologia da praga

Todas as fases de desenvolvimento da lagarta-do-cartucho são fortemente influenciadas pela temperatura. Em regiões com temperaturas médias mais elevadas, como o Brasil Central e os Cerrados, especialmente durante a estação da safrinha, a elevação da temperatura encurta o ciclo biológico da praga, reduzindo o período de desenvolvimento do ovo ao adulto (Gráfico 1).

O encurtamento do ciclo, associado à elevada capacidade de oviposição da espécie, que pode atingir até 2.000 ovos por fêmea, favorece a rápida infestação da lavoura e o aumento da pressão populacional ao longo do ciclo da cultura.

Gráfico 1 - Duração das fases de desenvolvimento da lagarta-do-cartucho (Spodoptera frugiperda) em milho sob diferentes temperaturas | Fonte: Embrapa (1995).

Danos de Spodoptera em milho

Na fase inicial de desenvolvimento da cultura, a lagarta-do-cartucho pode permanecer associada à palhada da cultura anterior e apresentar comportamento semelhante ao de lagarta-rosca, cortando plântulas rente ao solo e causando perdas de estande até o estádio V6, caracterizadas pelo sintoma conhecido como “coração morto” (Imagem 5).

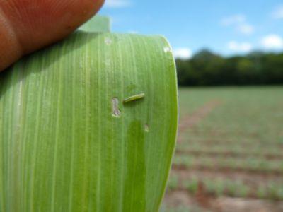
Quando presente nas folhas, as lagartas neonatas até o 3º ínstar realizam raspagens no tecido foliar (Imagem 6), sem conseguir perfurá-lo, em função do aparelho bucal ainda pouco desenvolvido. À medida que escapam do controle e ultrapassam o 3º ínstar, passam a perfurar o cartucho, causando danos mais severos, com redução significativa da área foliar e, em situações mais avançadas, corte de pendões.

Imagem 5 - Planta de milho com sintoma de “coração morto” (A) e lagarta-do-cartucho provocando danos semelhantes aos de lagarta-rosca (B) | Fotos: José Madalóz e Ronaldo Gonzaga.

 

Imagem 6 - Dano foliar inicial caracterizado por raspagem causada por lagartas neonatas de Spodoptera frugiperda | Foto: José Madalóz.

O último estágio de dano ocorre quando há escape de controle na fase vegetativa e, por ocasião do pendoamento do milho, as lagartas migram para a espiga recém-emitida, ampliando o potencial de prejuízos à cultura.

A espiga recém-emitida, ainda com tecido da palha tenro, pode ser severamente danificada ou até completamente destruída por lagartas acima do 3º ínstar, provenientes de escape de controle na fase foliar. Esse tipo de dano pode resultar em prejuízos de até 70% e, em alguns híbridos, quando o ataque atinge a boneca, ocorre o abortamento da futura espiga (Imagem 7).

Imagem 7 - Danos na espiga com entrada da lagarta no estádio V10 (A); dano no pedúnculo da espiga (B); espiga abortada em função de dano severo causado pela lagarta-do-cartucho (C) | Fotos: Ronaldo Gonzaga.

Principais práticas de manejo da lagarta-do-cartucho no milho

  • Dessecação antecipada da palhada da cultura anterior, podendo incluir o uso de inseticidas, visando reduzir a sobrevivência inicial da praga.
  • Tratamento de sementes com inseticidas específicos para a lagarta-do-cartucho, como o Dermacor®.
  • Uso de sementes com tecnologia Bt, associado à adoção correta do refúgio estruturado, como estratégia para o manejo da resistência.
  • Controle eficiente de plantas daninhas e de tigueras de milho, que podem atuar como hospedeiras da praga.
  • Monitoramento da lavoura por meio da escala de Davis e, quando necessário, uso de inseticidas específicos, como Intrepid® e Exalt®.
  • Rotação de culturas, contribuindo para a redução da pressão populacional da praga ao longo das safras.
  • Uso de armadilhas e feromônios para monitoramento de mariposas adultas.
  • Emprego de agentes biológicos, como vírus e fungos entomopatogênicos, no manejo da lagarta-do-cartucho.

Fase ideal de controle

O controle da lagarta-do-cartucho é mais eficiente quando realizado nas fases iniciais de desenvolvimento da praga. Lagartas até o 3º ínstar, com aproximadamente 8 a 10 mm de comprimento, causam predominantemente raspagens foliares, resultando em danos menos severos. Nessa fase, o controle químico é facilitado, uma vez que as lagartas ainda não se alojaram no interior do cartucho, permanecendo mais expostas às aplicações (Imagem 6).

A fase inicial da cultura do milho é considerada o período crítico para o manejo da praga, pois os danos nessa etapa comprometem de forma significativa a produtividade final (Gráfico 2). À medida que as lagartas escapam do controle inicial e atingem estádios mais avançados, passam a consumir grandes volumes de área foliar e a se refugiar no interior do cartucho, o que dificulta o controle e frequentemente exige doses mais elevadas de inseticidas.

Gráfico 2 - Resultados de níveis de danos foliares causados por infestação artificial de lagarta-do-cartucho em diferentes estádios de desenvolvimento do milho | Fonte: Corteva/Josemar Foresti (2015).

Diante desse cenário, torna-se fundamental o uso de tecnologias de aplicação que proporcionem boa cobertura de calda e favoreçam o escorrimento do produto para o interior do cartucho. O uso de produtos com efeito desalojante, embora controverso, pode auxiliar em situações específicas de escape de controle, especialmente sob condições de clima seco.

Em infestações iniciais, com lagartas neonatas até o 2º ínstar, inseticidas fisiológicos, como o Intrepid®, apresentam bom desempenho no controle da praga. Já nos casos em que ocorre o corte de plantas rente ao solo, comportamento semelhante ao de lagartas de solo, o manejo deve incluir inseticidas mais específicos para essa situação, como carbamatos e fosforados.

Para situações em que predominam raspagens foliares, inseticidas do grupo das spinosinas, como o Exalt®, quando utilizados de forma rotacionada com outros mecanismos de ação, figuram entre as melhores opções de controle disponíveis atualmente.

Infestações que persistem até o final da fase vegetativa requerem atenção redobrada, pois as lagartas remanescentes podem migrar para a espiga, ocasionando perdas diretas de grãos e favorecendo a formação de micotoxinas (Gráfico 3).

Gráfico 3 - Resultados de níveis de danos na espiga causados por infestação artificial de lagarta-do-cartucho em diferentes estádios de desenvolvimento do milho | Fonte: Corteva/Josemar Foresti (2015).

Lavouras de milho Bt: monitoramento e atenção ao nível de dano

O monitoramento do nível de dano causado pela lagarta-do-cartucho em lavouras de milho Bt deve ser realizado de forma sistemática, sendo a escala Davis uma ferramenta amplamente utilizada para esse fim. Essa escala varia de 0 a 9, em que a nota 0 representa plantas sem danos visíveis e a nota 9 corresponde ao cartucho totalmente destruído.

Em tecnologias que expressam a proteína Vip3A, o manejo com inseticidas deve ser adotado quando 4% das plantas apresentarem nível de dano igual ou superior a 3 na escala Davis (Imagem 8). Esse critério visa evitar o avanço da infestação e reduzir o risco de escape de controle.

 

Imagem 8 - Escala Davis | Nível 3: pequenas lesões circulares e algumas lesões alongadas, em formato retangular, com até 1,3 cm de comprimento, observadas nas folhas do cartucho.

Nas áreas de refúgio estruturado, conforme recomendado pelo IRAC, a aplicação de inseticidas deve ser iniciada quando 20% das plantas atingirem nota igual ou superior a 3 na escala Davis. Nesses casos, recomenda-se um limite máximo de duas aplicações até o estádio V6, como estratégia para manejo da resistência.

Já em lavouras de milho convencional (não-Bt), as aplicações também devem ser iniciadas quando 20% das plantas atingirem nota igual ou superior a 3 na escala Davis. No entanto, diferentemente das áreas Bt, não há recomendação de número máximo de aplicações, devendo o manejo ser ajustado conforme a pressão da praga e as condições da lavoura.

Outras pragas com danos semelhantes

Adultos de vaquinha (Diabrotica speciosa) podem provocar danos foliares semelhantes aos causados pela lagarta-do-cartucho na fase inicial de desenvolvimento do milho. No entanto, diferentemente de Spodoptera frugiperda, as lesões causadas pela vaquinha seguem o alinhamento das nervuras, resultando em perfurações características ao longo da folha, o que auxilia na diferenciação do agente causal (Imagem 9).

Imagem 9 - Dano foliar causado por vaquinha (Diabrotica speciosa) em milho | Foto: José Madalóz.

Autores

  • Ronaldo Gonzaga - Agrônomo de Campo Pioneer®
  • Richard Mello - Agrônomo de Campo Pioneer®
  • José Madalóz - Gerente de Agronomia Pioneer®

» Acesse o PDF do artigo completo AQUI

Referências

Embrapa. Duração das fases de desenvolvimento da lagarta-do-cartucho em milho sob diferentes temperaturas. 1995. Disponível em: https://www.infoteca.cnptia.embrapa.br/handle/doc/475779.

Rice, ME. Conteúdo técnico e imagens sobre identificação e danos de Spodoptera frugiperda. Revisado por Susan Moser, Herb Eichenseer e Laura Higgins.